WILLIAMSTOWN, Mass. — The Planning Board last week talked about balancing housing and land conservation in the rural parts of town and protecting the aquifer that supplies drinking water to most of the town's inhabitants.
The bulk of the meeting was dedicated to discussing projects that the board wants to work on in the year ahead, including initiatives in a couple of areas — short-term rentals and housing lot sizes — that have been on the board's radar for years and one new initiative that was brought to the board by a member of town's staff.
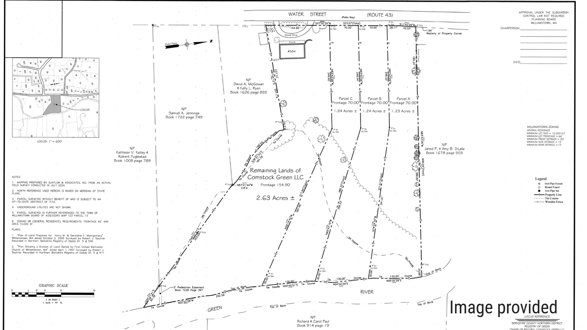
The meeting began with the approval of a subdivision on Water Street.
The owner of the former Grange Hall site sought and received the board's approval to subdivide the property into four lots, in accordance with the bylaw. Three new housing lots of about 1 1/4 acre each with 70 feet of frontage will be carved out of the lot, where the owner last year gave up on a proposal that would have created 16 units of mixed-income housing after neighbors threatened an appeal of the Chapter 40B development.
Planners Kenneth Kuttner and Roger Lawrence later gave their colleagues on the board a presentation about how the town could implement an open space residential development bylaw that would couple conserved land with smaller lot sizes for homes.
Currently in RR2, the town's largest rural residential district, homes are permitted on a minimum lot size of 2 1/2 acres.
Kuttner and Lawrence have been studying whether Williamstown could follow the path of other towns in the commonwealth and allow smaller home lots on a single parcel if the majority of that parcel is left undeveloped.
Kuttner showed the board a series of slides with examples of how an OSRD bylaw could be crafted, starting with what he called a "vanilla" plan that took a hypothetical 13-acre lot and put 7.5 acres in conservation, determined 2.5 acres were not developable and dedicated 3 acres to four housing lots of 3/4 acres apiece.
If the same 10.5 acres of developable land was subdivided under the current zoning, it still would yield four housing lots, but each residential lot would be three times larger and there would not be the 7.5-acre conserved lot.
That would accomplish the objectives of an OSRD regulation: preserving natural areas and enabling the development of smaller, lower-cost housing, Kuttner said.
He also showed the board a more extreme OSRD scheme that would somewhat mimic the cottage court development bylaw that town meeting approved last May for the General Residence district.
That plan, on a hypothetical 12.5-acre parcel, would use the same 2.5-acre piece for residences and set aside the same 7.5 acres for conservation. But this time, it would allow 12 "cottage" sized homes clustered on the 2.5-acre piece.
That would equate to about 1.2 housing units per acre of land or 0.83 acres per unit, a far cry from the 2.5-acre large lot zoning currently in place in the district.
Lawrence emphasized that the pair are not ready to make a formal proposal of a bylaw to the board. They're still in the exploratory phase.
And they recognized that there are inherent constraints on development in RR2, namely septic capacity for housing lots. Kuttner suggested that the denser housing plans might work if it was allowable to use part of the conserved land for a septic field, but that, too, would require further study.
Kuttner and Lawrence came to their colleagues to see whether the OSRD proposal was worth continued exploration, and the other three Planning Board members agreed that it was.
Among the issues that were raised by the rest of the board — in addition to septic service — were whether and how the denser housing development could be screened and how to address the increased paved area for longer driveways to accommodate homes grouped together on a parcel.
In general, though, the board was supportive of devoting more time to developing some sort of OSRD proposal.
Lawrence talked about the use of such a proposal to prevent the kind of land subdivision that the board was forced to approve earlier in the evening.
"In my view, this is a failure of planning," Lawrence said of the approved subdivision. "It's a failure because this [existing] meadow is valued by everybody. It's part of our rural heritage. It's valued by me when I drive to Pittsfield. I'd rather drive this way because I can see a beautiful meadow, and that gladdens my heart.
"What we're going to see [on the north end of the former Grange lot] is three houses, and they're going to be 40 feet wide, because they need to subtract 30 feet [for side setbacks], and they lots are only 70 feet wide. … That meadow doesn't have to go away if we had an imaginative development model, and we don't have it."
Public Works Director Craig Clough appeared before the Planning Board on Tuesday to ask it to consider developing a bylaw that would safeguard the town's drinking water.
Clough said the town recently received a permit application to drill a geothermal well in a water resource district. The geothermal system would involve a closed loop underground that holds a mixture of water and propylene glycol.
"Propylene glycol, while considered less toxic than other antifreeze agents, still poses a risk to our water supply if it were to leak into the aquifer," Clough wrote in a memo to the Planning Board.
"We're just starting to get these requests from the residential side," Clough told the board on Tuesday. "This one that was requested by permit was going 500 feet deep. We all know you can't do that in the center of town, because you're going to have a big problem. This one, being up on a hillside, 1,100 feet above sea level, they had room to drill down and not hit our aquifer, but that's in a recharge district."
Clough said currently there is no language in the town bylaw addressing where geothermal wells can be placed or how they need to be maintained.
"Twenty-three gallons [of propylene glycol] in one system is not a lot, right?" Clough said. "But if we get 30, 40 of these systems all on a hillside, 10 years down the road or whatever — I don't know how long these things last. It's a closed loop system, but what if it were to leak. There are too many what-ifs in my mind.
"If they sell the house 20 years from now, what if that person doesn't want to use [geothermal], or it stops working and they say, 'Ah, the heck with it.' We've still got the system in our recharge district. I'm just thinking of the future."
Planning Board member Cory Campbell agreed to work with Town Planner Andrew Groff on assembling a working group to study the issue and advise the full board on what a potential bylaw could include.
If you would like to contribute information on this article, contact us at info@iberkshires.com.
Your Comments
iBerkshires.com welcomes critical, respectful dialogue. Name-calling, personal attacks, libel, slander or foul language is not allowed. All comments are reviewed before posting and will be deleted or edited as necessary.
No Comments
Puppets Teach Resilience at Lanesborough Elementary School
By Breanna SteeleiBerkshires Staff
The kids learned from puppets Ollie and a hermit crab.
LANESBOROUGH, Mass. — Vermont Family Network's Puppets in Education visited the elementary school recently to teach kids about being resilient.
Puppets in Education has been engaging with young students with interactive puppets for 45 years.
Classes filtered through the music class Thursday to learn about how to be resilient and kind, deal with change and anxiety, and more.
"This program is this beautiful blending of other programs we have, which is our anxiety program, our bullying prevention and friendship program, but is teaching children the power of yet and how to be able to feel empowered and strong when times are challenging and tough," said program manager Sarah Vogelsang-Card.
The kids got to engage with a "bounce back" song, move around, and listen to a hermit crab deal with the change of needing a new shell.
"A crab that is too small or too big for its shell, so trying to problem solve, having a plan A, B and C, because it's a really tough time," Vogelsang-Card said. "It's like moving, it's like divorce of parents, it's changing schools. It's things that children would be going through, even on a day to day basis, that are just things they need to be resilient, that they feel strong and they feel empowered to be able to make these choices for themselves."
The resiliency program is new and formatted little differently to each of the age groups.
"For the older kids. We age it up a bit, so we talk about harassment and bullying and even setting the scene with the beach is a little bit different kind of language, something that they feel like they can buy into," she said. "For the younger kids, it's a little bit more playful, and we don't touch about harassment. We just talk about making friends and being kind. So that's where we're learning as we're growing this program, is to find the different kinds of messaging that's appropriate for each development level."
This programming affirms themes that are already being discussed in the elementary school, said school psychologist Christy Viall. She thinks this is a fun way for the children to continue learning.
"We have programs here at the school called community building, and that's really good. So they go through all of these strategies already," she said. "But having that repetition is really important, and finding it in a different way, like the puppets coming in and sharing it with them is a fun way that they can really connect to, I think, and it might, get in a little more deeply for them.
Vogelsang-Card said its another space for them to be safe and discuss what's going on in their life. Some children are afraid because maybe their parents are getting divorced, or they're being bullied, but with the puppets, they might open up and disclose what's bothering them because they feel safe, even in a larger crowd.
"When we do sexual abuse awareness that program alone, over five years, we had 87 disclosures of abuse that were followed up and reported," she said. "And children feel safe with the puppets. It makes them feel valued, heard, and we hope that in our short time that we're together, that they at least leave knowing that they're not alone."
Bedard Brothers also gave the school five new puppets to use. Viall said the puppets are a great help for the students in her classroom, especially in the younger grades.
"Every year, I've been giving the puppets to the students. And I also have a few of the puppets in my classroom, and the students use them in small groups to practice out the strategies with each other, which is really helpful," she said. "Sometimes the older students, like sixth graders, will put on a puppet show. They'll come up with a whole theme and a whole little situation, and they'll act it out with the strategies for the younger students. It's really cute, they've done it with kindergarteners, and the kids really like it."
Vogelsang-Card said there are 130 schools in Vermont that are on the waiting list for them to come in. Lanesborough Elementary has been the only Massachusetts school they have visited, thanks to Bedard Brothers.
"These programs are so critical and life-changing for children in such a short amount of time, and we are the only program in the United States that does what we do, which is create this content in this enjoyable, fun, engaging way with oftentimes difficult subjects," she said. "Vermont is our home base, but we would love to be able to bring this to more schools, and we can't do this without the support of community, business funders or donors, and it really makes a difference for children."
The fourth-grade students were the first class to engage with the puppets and a lot of them really connected with the show.
"I learned to never give-up and if you have to move houses, be nervous, but it still helps," said William Larios.
"I learned to always add the word 'yet' at the end," said Sierra Kellogg, because even if she can't do something now, she will be able to at some point.
Samuel Casucci was struck by what one of the puppets talked about. "He said some people make fun of him if he dresses different, come from different place, brings home lunch, it doesn't matter," Samuel continued. "We're all kind of the same. We're all kind of different, like we have different hairstyles, different clothes. We're all the same because we're all human."
"I learned how to be more positive about myself and like, say, I can't do this yet, it's positive and helpful," said Liam Flaherty.
The students got to take home stickers at the end of the day with contact information of the organization.
Students got to showcase their art at the Clark Art Institute depicting their relationship with the Earth in the time of climate change. click for more
The 100th annual meeting will be held on March 10, 2027, the Community Chest's birthday (there will be cake, he promised) and a gala will be held at the Clark Art Institute on Sept. 25, 2027.
click for more