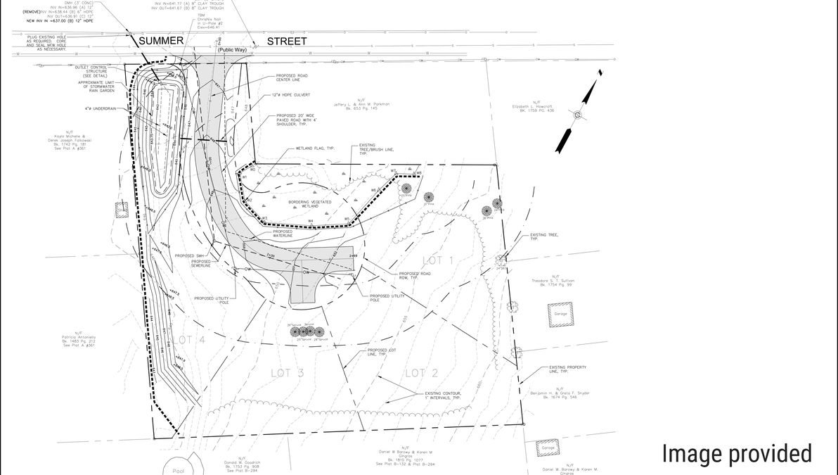
A site grading plan prepared by Williamstown's Guntlow and Associates for Northern Berkshire Habitat for Humanity's proposed subdivision off Summer Street in Williamstown.
Williamstown Con Comm Clears Summer Street Subdivision
WILLIAMSTOWN, Mass. — The Conservation Commission last week gave its approval for a four-home subdivision on a town-owned parcel on Summer Street.
Northern Berkshire Habitat for Humanity was before the board with a notice of intent to build a 260-foot road with four associated building lots on a parcel currently owned by the town's Affordable Housing Trust.
The road and some of the home lots are planned in the buffer zone of a bordering vegetated wetland on the lot currently known as 0 Summer St.
Habitat plans to build four single-family, one-story homes priced for residents making up to 60 percent of the area median income on the parcel. The non-profit hopes the town will accept the road and associated infrastructure as a town road once it is built.
In addition to determining that the construction would minimize impact on the buffer zone, the commissioners Thursday reviewed the stormwater management plan for the site — an aspect that has been a sticking point for nearby residents who say drainage problems are a long-standing concern in the area.
Charlie LaBatt of Guntlow and Associates civil engineering took the lead on walking the commission through the plan to handle stormwater runoff from the increased impervious surfaces in the planned subdivision.
"Proposed drainage improvements include a rain garden, which acts for filtering of TSS [total suspended solids] and detention and very little recharge — due to the site's soil constraints — and a culvert that helps allow in one portion of this [parcel] the watershed to make it to that rain garden," LaBatt said. The rain garden and the stormwater management infrastructure has been sized anticipating the development of the four lots.
"It doesn't include impervious areas just for the road, it includes impervious areas for all of the four lots — buildings, roads, everything."
LaBatt further explained that grading along the boundary of the property will help direct water into the rain garden and the garden itself will have an underdrain to prevent it from becoming a pond.
Kayla Falkowski of 11 Summer St., whose home is due south and downhill of the subdivision site, said she was still concerned about the rain garden being overwhelmed and ponding.
LaBatt told the commission that the rain garden will have an outlet structure that will pipe excess water into existing municipal infrastructure on Summer Street.
"Once water comes above the bottom crest of the weir, water can go directly out of the detention pond and into the pipe system that goes out," LaBatt said. "The size and height and width of those weirs, as well as the size of the rain garden is what is modeled to create a system that gets peak runoff from post-development to be at or below pre-development runoff conditions.
"As described in the stormwater narrative [of the NOI submission], we have a table that shows you what the 2-, 10- and 100-year post-development storm rates are for this and how we've reduced [runoff] for all storm events."
Falkowski noted that she appreciated that the final plans for the rain garden include a fence around the feature, which is planned for the southwest corner of the parcel, bordered by Summer Street, the new road and her property.
But residents who addressed the commission at Thursday's meeting continued to express concern about the plan, including how the rain garden will be maintained after the subdivision is built and the homes are occupied.
LaBatt explained that, typically, such infrastructure would be owned by the developer (in this case, Northern Berkshire Habitat for Humanity) until homes are sold, at which time it would be transferred to an homeowners association and often, at some point, a municipality. The non-profit, which does not want to saddle its homeowners with the responsibility of an HOA, is trying to track the process of town acceptance, LaBatt said.
Critics of the subdivision plan pointed to a letter from Williamstown's director of public works that cast doubt on whether the town would be amenable to that acceptance.
"Although we currently do not have specific language on rain gardens in the Town Code, it is my position that rain gardens should be classified as a type of detention basin and not accept ownership or maintenance thereof," Craig Clough wrote in a May 3 letter to the Planning Board, which, at the time, was considering a preliminary development plan for the subdivision.
Donald Dubendorf, a volunteer with Northern Berkshire Habitat for Humanity and retired attorney with experience representing clients before town boards and committees, told the Con Comm that the issue of who owns the rain garden going forward was not before the body.
"These plans before the commission make no representation of who owns the rain garden," Dubendorf said. "They simply say this is where it's going to be. It may be the case that, if we have to, we carve out a piece of that [property] and give the Affordable Housing Trust an easement to manage it until such time as it's taken over [by the town].
"But we've had extensive discussions with Craig Clough, the town manager and others about taking over, and I think we're making progress on that. So, at the end of the day, [the ownership issue] seems a bit of a red herring."
In the end, the Con Comm added stipulation to its approval that, "The operation and maintenance plan for the proposed rain garden shall be a continuing condition."
That was one of four conditions specific to the project that the commission added to its approval, along with the standard 25 local and state-mandated conditions for work near a water resource area.
After a unanimous vote to set the conditions and, thus, approve the project, an attendee at the meeting asked how the commission's decision could be appealed. Conservation agent Andrew Groff referred them to the commonwealth's Department of Environmental Protection regional office in Springfield.
The proposed subdivision still has a major regulatory hurdle to clear before it goes forward: a return trip to the Planning Board for a review of the final development plan.
In other business on Thursday, the Conservation Commission:
• Cleared the Massachusetts Department of Transportation's plan to resurface Route 7 from the Five Corners intersection south to the New Ashford line.
• OK'd work near an unnamed perennial stream on a property at 1382 Cold Spring Road.
• And reviewed the town's plan to stabilize the bank of the Hoosic River near the intersection of North Street (Route 7) and Syndicate Road. The town is waiting on approval from Mass DEP and the Natural Heritage and Endangered Species Program, but Groff asked the local body also weigh in during that review. The five commissioners at Thursday's meeting gave their informal support to the plan.
If you would like to contribute information on this article, contact us at info@iberkshires.com.
Your Comments
iBerkshires.com welcomes critical, respectful dialogue. Name-calling, personal attacks, libel, slander or foul language is not allowed. All comments are reviewed before posting and will be deleted or edited as necessary.
No Comments
Puppets Teach Resilience at Lanesborough Elementary School
By Breanna SteeleiBerkshires Staff
The kids learned from puppets Ollie and a hermit crab.
LANESBOROUGH, Mass. — Vermont Family Network's Puppets in Education visited the elementary school recently to teach kids about being resilient.
Puppets in Education has been engaging with young students with interactive puppets for 45 years.
Classes filtered through the music class Thursday to learn about how to be resilient and kind, deal with change and anxiety, and more.
"This program is this beautiful blending of other programs we have, which is our anxiety program, our bullying prevention and friendship program, but is teaching children the power of yet and how to be able to feel empowered and strong when times are challenging and tough," said program manager Sarah Vogelsang-Card.
The kids got to engage with a "bounce back" song, move around, and listen to a hermit crab deal with the change of needing a new shell.
"A crab that is too small or too big for its shell, so trying to problem solve, having a plan A, B and C, because it's a really tough time," Vogelsang-Card said. "It's like moving, it's like divorce of parents, it's changing schools. It's things that children would be going through, even on a day to day basis, that are just things they need to be resilient, that they feel strong and they feel empowered to be able to make these choices for themselves."
The resiliency program is new and formatted little differently to each of the age groups.
"For the older kids. We age it up a bit, so we talk about harassment and bullying and even setting the scene with the beach is a little bit different kind of language, something that they feel like they can buy into," she said. "For the younger kids, it's a little bit more playful, and we don't touch about harassment. We just talk about making friends and being kind. So that's where we're learning as we're growing this program, is to find the different kinds of messaging that's appropriate for each development level."
This programming affirms themes that are already being discussed in the elementary school, said school psychologist Christy Viall. She thinks this is a fun way for the children to continue learning.
"We have programs here at the school called community building, and that's really good. So they go through all of these strategies already," she said. "But having that repetition is really important, and finding it in a different way, like the puppets coming in and sharing it with them is a fun way that they can really connect to, I think, and it might, get in a little more deeply for them.
Vogelsang-Card said its another space for them to be safe and discuss what's going on in their life. Some children are afraid because maybe their parents are getting divorced, or they're being bullied, but with the puppets, they might open up and disclose what's bothering them because they feel safe, even in a larger crowd.
"When we do sexual abuse awareness that program alone, over five years, we had 87 disclosures of abuse that were followed up and reported," she said. "And children feel safe with the puppets. It makes them feel valued, heard, and we hope that in our short time that we're together, that they at least leave knowing that they're not alone."
Bedard Brothers also gave the school five new puppets to use. Viall said the puppets are a great help for the students in her classroom, especially in the younger grades.
"Every year, I've been giving the puppets to the students. And I also have a few of the puppets in my classroom, and the students use them in small groups to practice out the strategies with each other, which is really helpful," she said. "Sometimes the older students, like sixth graders, will put on a puppet show. They'll come up with a whole theme and a whole little situation, and they'll act it out with the strategies for the younger students. It's really cute, they've done it with kindergarteners, and the kids really like it."
Vogelsang-Card said there are 130 schools in Vermont that are on the waiting list for them to come in. Lanesborough Elementary has been the only Massachusetts school they have visited, thanks to Bedard Brothers.
"These programs are so critical and life-changing for children in such a short amount of time, and we are the only program in the United States that does what we do, which is create this content in this enjoyable, fun, engaging way with oftentimes difficult subjects," she said. "Vermont is our home base, but we would love to be able to bring this to more schools, and we can't do this without the support of community, business funders or donors, and it really makes a difference for children."
The fourth-grade students were the first class to engage with the puppets and a lot of them really connected with the show.
"I learned to never give-up and if you have to move houses, be nervous, but it still helps," said William Larios.
"I learned to always add the word 'yet' at the end," said Sierra Kellogg, because even if she can't do something now, she will be able to at some point.
Samuel Casucci was struck by what one of the puppets talked about. "He said some people make fun of him if he dresses different, come from different place, brings home lunch, it doesn't matter," Samuel continued. "We're all kind of the same. We're all kind of different, like we have different hairstyles, different clothes. We're all the same because we're all human."
"I learned how to be more positive about myself and like, say, I can't do this yet, it's positive and helpful," said Liam Flaherty.
The students got to take home stickers at the end of the day with contact information of the organization.
Students got to showcase their art at the Clark Art Institute depicting their relationship with the Earth in the time of climate change. click for more
The 100th annual meeting will be held on March 10, 2027, the Community Chest's birthday (there will be cake, he promised) and a gala will be held at the Clark Art Institute on Sept. 25, 2027.
click for more