PITTSFIELD, Mass. — The Allendale Pines expansion will bring more affordable homes to the community.
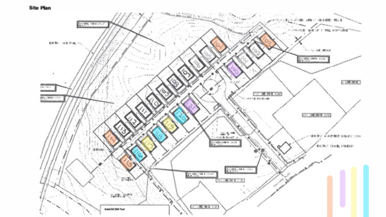
The expansion is located at 395 Cheshire Road, bordering the Ashuwillticook Trail, and will include 22 manufactured homes. The project cost is $1.4 million and is not too far from the current mobile home community at 245 Cheshire Road.
The homes will start as low as $179,900. Residents will pay owner Teton Management Corp. a lot fee of $550, which will include water and sewer. Residents will be responsible for electric and gas.
"I do feel strongly that we are delivering a product, and indeed it is attainable and affordable housing that I just feel there is a need for that in Berkshire County," said Val Whaling, director of sales for Teton Management Corp. "We feel really strongly about pride of home ownership versus renting an apartment and signing a one-year lease. There's merit in that as well."
Whaling said the company likes to see people be able to own a home.
"We love pride of home ownership and our customers are that of that nature. They have doggies, they have grandkids. They love to decorate their yards," she said. "We're installing sheds, they love to, you know, plant a garden and have a small lot and a little yard. It's different than buying a stick-built house in Berkshire County right now as well, which is a whole different product and much more expensive."
The multi-section homes are 28 feet wide by 48 feet in length. They will have three bedrooms and two bathrooms. There will be three floor plans to choose from that include open-concept kitchens, upgraded fixtures and appliances, two different porch models and a variety of colors. Each lot will also include a two-car parking spot and an 8-by-10-foot shed.
The company has started to clear the land by the trail and expect construction of water and sewer lines, paving and electrical to be done by the end of the year.
Teton anticipates having six houses in place and for sale by the end of this year, said Whaling. "I already have a wait list."
"We are very excited to bring more high-quality manufactured homes, at an attractive price point, to Pittsfield to help solve the need for more affordable housing in Berkshire County," said Teton President George C. Whaling, in a press release.
For more information, Teton can be contacted at 413-770-6296.
If you would like to contribute information on this article, contact us at info@iberkshires.com.
Your Comments
iBerkshires.com welcomes critical, respectful dialogue. Name-calling, personal attacks, libel, slander or foul language is not allowed. All comments are reviewed before posting and will be deleted or edited as necessary.
No Comments
Pittsfield Council OKs Underground Fiber Network
By Brittany PolitoiBerkshires Staff
PITTSFIELD, Mass. — More underground fiber internet cables will be installed in Pittsfield.
On Tuesday, the City Council approved Gateway Fiber's request to install an underground fiber network infrastructure within the city's right-of-way.
The company was given the go-ahead for an aerial network last year alongside Archtop Fiber, marking the beginning of construction with a ribbon-cutting at the Colonial Theatre. Gateway Fiber will offer subscription plans ranging from $65 to $150 per month, depending on speed.
Wards 3 and 4 will see the most work in the first phase, according to an underground fiber deployment plan. Fourteen streets in Ward 4 will see underground fiber deployment; 13 streets in Ward 3.
Ward 4 Councilor James Conant voted in opposition for personal reasons, as he signed up for Gateway Fiber briefly last year and said he had poor service and poor communication from the company.
Some councilors and community members appreciated bringing competition to Spectrum internet services. Ward 5 Councilor Patrick Kavey pointed out that it costs about $90 per month for 500 megabytes per second with Spectrum, and that all three fiber services that have come to Pittsfield are cheaper.
Operations Manager Jennifer Sharick explained that they were seeking approval for underground fiber deployment as part of the next phase in Pittsfield. The city was found to be a "very" viable community for underground fiber.
Gateway Fiber, she said, originally served a community of 250 residents outside of St. Louis, Mo.
"Following the pandemic, we saw the need, and what people need for fiber and reliable internet service to bring residents and businesses the opportunity for connectivity," Sharick said.
Our Friday Front Porch is a weekly feature spotlighting attractive homes for sale in Berkshire County. This week, we are showcasing 140 Hancock Road.
click for more
Pittsfield's new ice rink had a short season because of unpredictable weather, and the city is soliciting memories about the Wahconah Park grandstand before it is demolished. click for more
Morales reported that the city will take a step back and revisit the basis of WWTP design, and return with a refined proposal that addresses concerns.
click for more
In a time of federal funding uncertainties, community members are encouraged to maintain preventative health care, such as doctor visits. click for more